Perceel in een verharde straat aan een meer op het gesloten project Zavana Estate nabij het Garnizoenspad. Het terrein is 729 m² groot met een frontbreedte van 20 m en een diepte van ruim 37 m. De straat is voorzien van waterleiding, elektravoorziening en straatverlichting.
Overige informatie
Het perceel staat op naam van een beheerstichting die kan worden overgenomen. Hierdoor betaal je geen overdrachtskosten.
Bestanden en links
Perceelkaart
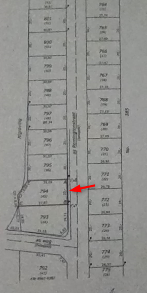
Kadastrale kaart
Google Maps
Financieringsmogelijkheden
Bankfinanciering
Wil je een financiering met een laag rentepercentage en een lange looptijd? Als je een eigen inbreng van minimaal 20%, een vast inkomen en toereikend inkomen hebt en tenminste 21 jaar bent kun je bij banken terecht voor een lening. Voor meer informatie zie de pagina Bankfinanciering.
Particuliere financiering
Kom je niet in aanmerking voor een bankfinanciering of heb je belang bij een snelle afhandeling zonder allerlei voorwaarden en procedures van de bank? Wellicht is een particuliere financiering een oplossing. De minimale eigen inbreng is 65%. Het rentepercentage bedraagt 2% p/mnd en de maximale looptijd is 5 jaar. Voor meer informatie zie de pagina Particuliere financiering.
Contactgegevens
Remy Vastgoed
WhatsApp: +5978427000
E-mail: info@remyvastgoed.com
